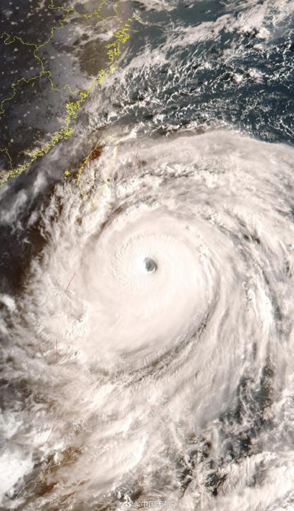
今年第18号台风“桦加沙”生成后强度迅速增强,成为今年以来西北太平洋风王,目前仍维持超强台风级。预计,“桦加沙”9月22日穿过巴士海峡后,将于23日凌晨进入南海东北部海面,并逐渐向广东中西部至海南岛东北部一带沿海靠近。
预计23日至26日,广东大部、广西中南部、福建南部、江西南部、湖南南部、云南东部、海南岛等地有大到暴雨,部分地区有大暴雨,局地特大暴雨。巴士海峡、台湾海峡、南海北部、琼州海峡、北部湾等海域及华南沿海将先后有10~11级大风,台风中心经过的附近海域或地区有14~17级大风,阵风17级以上。
经综合研判和应急会商,中国气象局启动重大气象灾害(台风)Ⅱ级应急响应。
天元证券提示:文章来自网络,不代表本站观点。